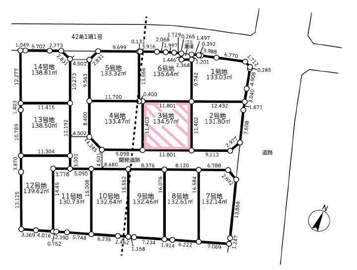
土地 埼玉県春日部市藤塚 春日部市藤塚 売地 3号地 2,380万円 この物件に問合せる

Summary

所在地: 埼玉県春日部市藤塚
交通: 東武野田線「藤の牛島」より徒歩13分
東武伊勢崎線「一ノ割」より徒歩27分
土地面積: 公簿 134.57㎡(40.7坪)
建築条件:
物件の特徴:

オススメPOINT!!

南道路に面して陽当たり良好!土地面積約40坪! 自由設計で夢のマイホーム・当社建築士による無料の間取り作成承ります! 希望の間取りが叶いやすい整形地!カスミまで徒歩約6分(472m)!

こちらの物件は埼玉相互住宅 春日部店が担当します!!

10:00~19:00(火・水定休)

物件詳細情報

最寄駅/交通
東武野田線「藤の牛島」より徒歩13分
東武伊勢崎線「一ノ割」より徒歩27分
所在地
埼玉県春日部市藤塚
販売価格
2,380万円
土地面積
公簿 134.57㎡(40.7坪)
販売区画
1区画
総区画
14区画
建築条件
地勢
取引態様
仲介
建物構造
建ぺい率
60%
容積率
200%
地目
宅地
都市計画
市街化区域
用途地域
第一種住居地域
開発許可番号
現状
引渡
相談
接道
セットバック
不要
私道
無し
造成完了時期
土地権利
所有権
設備
公営水道,本下水,都市ガス
建築確認番号
管理番号
92230
学区
春日部市立藤塚小学校まで1220m/春日部市立豊野中学校まで1250m
物件登録日
2026年04月06日
掲載期限
2026-04-18
特記事項
備考
・現況/造成中 ・開発道路とごみ置場は採納になります。
キーワード

資料請求・見学予約フォームContact Form

お問合せ種別必須

お名前必須

メールアドレス必須

電話番号
郵便番号

都道府県

以降の住所

来場希望日時必須

ご希望の時間帯必須

※当日はお電話にてご予約ください。

お問合せ内容
その他ご要望など
近隣の物件情報が必要かどうか

COLUMN お役立ち情報

PageTop