新築一戸建て 埼玉県春日部市大沼6丁目 【仲介手数料無料】春日部市大沼6丁目 新築一戸建て 3号棟 3,380万円 (税込) この物件に問合せる
| 所在地: | 埼玉県春日部市大沼6丁目 |
|---|---|
| 交通: |
東武伊勢崎線「春日部」より徒歩25分 東武伊勢崎線「一ノ割」より徒歩22分 |
| 間取り: | 4LDK |
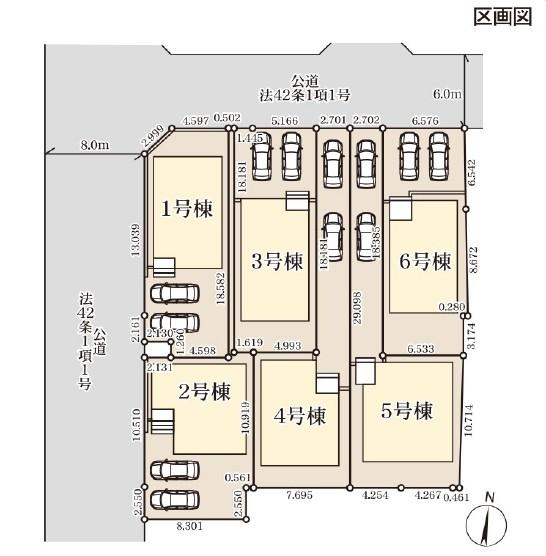
| 土地面積: | 公簿120.22㎡(36.36坪) |
| 建物面積: | 98.01㎡(29.64坪) |
| 築年数: | 2026年03月 完成予定 |
| 物件の特徴: |
オススメPOINT!!
【仲介手数料無料!】新築住宅がお得に買える・埼玉相互住宅では新築購入仲介手数料が無料・スーモ・アットホーム・ホームズなど各不動産情報サイトに掲載している越谷市・川口市・草加市・八潮市・春日部市・松伏町の新築物件情報の95%が仲介手数料無料です。 3号棟 全居室に収納がある4LDK・WIC!駐車2台可(車種による)! 南向きバルコニーで陽当り良好です!小・中学校徒歩10分圏内でお子様の通学も安心です!お気軽にお問い合わせください!
物件詳細情報
- 最寄駅/交通
- 東武伊勢崎線「春日部」より徒歩25分
東武伊勢崎線「一ノ割」より徒歩22分
- 所在地
- 埼玉県春日部市大沼6丁目
- 販売価格
- 3,380万円 (税込)
- 間取り
- 4LDK
- 取引態様
- 仲介
- 建物構造
- 木造
- 土地面積
- 公簿 120.22㎡(36.36坪)
- 建物面積
- 98.01㎡(29.64坪)
- 建ぺい率
- 60%
- 容積率
- 200%
- 地目
- 宅地
- 都市計画
- 市街化区域
- 用途地域
- 第一種中高層住居専用地域
- 現状
- 未完成
- 引渡
- 相談
- 接道
- 北側6m公道
- セットバック
- 不要
- 私道
- 無し
- 築年月
- 2026年03月 完成予定
- 土地権利
- 所有権
- 設備
- 公営水道,本下水,都市ガス
- 建築確認番号
- 第25UDI1W建03489号
- 管理番号
- 84206
- 学区
- 春日部市立上沖小学校まで631m/春日部市立大沼中学校まで302m
- リフォーム
- 物件登録日
- 2025年09月29日
- 掲載期限
- 2026-02-23
- 特記事項
- 備考
- 東武スカイツリーライン「春日部駅西口」バス9分「大沼6丁目」停歩3分! ・その他の法令上の制限/農地法、法第22条区域 ・持分/あり ごみ置場:2.65平米×6分の1
- キーワード
- 開発許可番号