新築一戸建て 埼玉県春日部市大沼6丁目 【仲介手数料無料】春日部市大沼6丁目 新築一戸建て 4号棟 3,180万円 (税込) この物件に問合せる

Summary

所在地: 埼玉県春日部市大沼6丁目
交通: 東武伊勢崎線「春日部」より徒歩25分
東武伊勢崎線「一ノ割」より徒歩22分
間取り: 4LDK
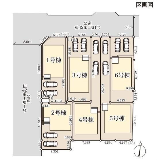
土地面積: 公簿133.14㎡(40.27坪)
建物面積: 94.76㎡(28.66坪)
築年数: 2026年03月
物件の特徴:

オススメPOINT!!

【仲介手数料無料!】新築住宅がお得に買える・埼玉相互住宅では新築購入仲介手数料が無料・スーモ・アットホーム・ホームズなど各不動産情報サイトに掲載している越谷市・川口市・草加市・八潮市・春日部市・松伏町の新築物件情報の95%が仲介手数料無料です。 【4号棟】 ◆広々15帖のLDK ◆駐車2台可(車種による) ◆水回りのコンパクトな家事動線 ◆クローゼット・ファミリークロークなど収納豊富な間取り ◆上沖小学校・大沼中学校まで徒歩8分圏内

こちらの物件は埼玉相互住宅 春日部店が担当します!!

10:00~19:00(火・水定休)

物件詳細情報

最寄駅/交通
東武伊勢崎線「春日部」より徒歩25分
東武伊勢崎線「一ノ割」より徒歩22分
所在地
埼玉県春日部市大沼6丁目
販売価格
3,180万円 (税込)
間取り
4LDK
取引態様
仲介
建物構造
木造
土地面積
公簿 133.14㎡(40.27坪)
建物面積
94.76㎡(28.66坪)
建ぺい率
60%
容積率
200%
地目
宅地
都市計画
市街化区域
用途地域
第一種中高層住居専用地域
現状
空家
引渡
相談
接道
北側6m公道
セットバック
不要
私道
無し
築年月
2026年03月
土地権利
所有権
設備
公営水道,本下水,都市ガス
建築確認番号
第25UDI1W建03490号
管理番号
84207
学区
春日部市立上沖小学校まで631m/春日部市立大沼中学校まで302m
リフォーム

物件登録日
2025年09月29日
掲載期限
2026-05-07
特記事項
備考
東武スカイツリーライン「春日部駅西口」バス9分「大沼6丁目」停歩3分!  ・土地面積:133.14平米 ※路地状部分約49.14平米含 ・敷地延長面積(29%以上):49.10平米 ・その他の法令上の制限/農地法、法第22条区域、 建ぺい率、容積率:県条例第3条但し書きによる(建37.85%/容126.19%) ・持分/あり ごみ置場:2.65平米×6分の1
キーワード
開発許可番号

このエリアの近隣物件

資料請求・見学予約フォームContact Form

お問合せ種別必須

お名前必須

メールアドレス必須

電話番号
郵便番号

都道府県

以降の住所

来場希望日時必須

ご希望の時間帯必須

※当日はお電話にてご予約ください。

お問合せ内容
その他ご要望など
近隣の物件情報が必要かどうか

COLUMN お役立ち情報

PageTop