新築一戸建て 埼玉県草加市新善町 【仲介手数料無料】草加市新善町 新築一戸建て 6号棟 4,090万円 この物件に問合せる

Summary

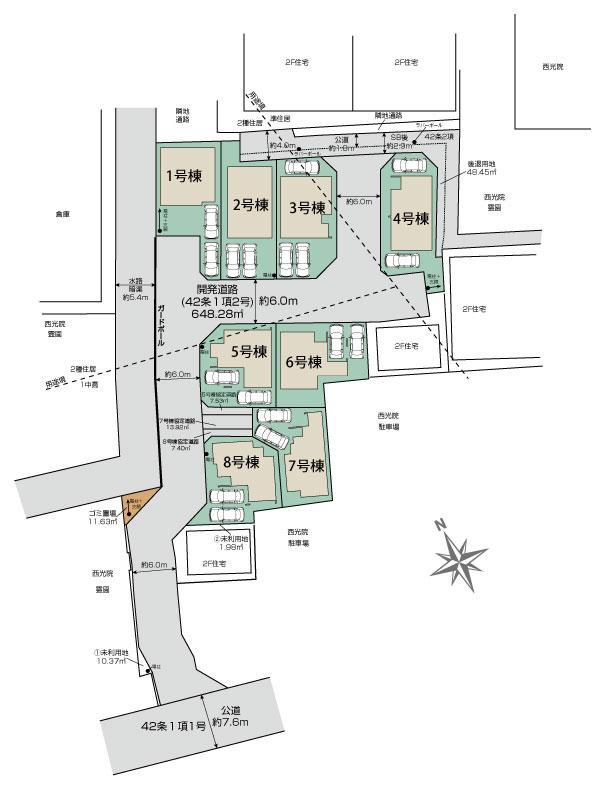
所在地: 埼玉県草加市新善町
交通: 東武伊勢崎線「新田」より徒歩21分
東武伊勢崎線「獨協大学前」より徒歩25分
間取り: 3LDK
土地面積: 123.7㎡(37.41坪)
建物面積: 108.47㎡(32.81坪)
築年数: 2026年04月 完成予定
物件の特徴:

オススメPOINT!!

【仲介手数料無料!】新築住宅がお得に買える・埼玉相互住宅では新築購入仲介手数料が無料・スーモ・アットホーム・ホームズなど各不動産情報サイトに掲載している越谷市・川口市・草加市・八潮市・春日部市・松伏町の新築物件情報の95%が仲介手数料無料です。 【耐震×制震・太陽光パネル設置】6号棟 全居室に収納がある3(4)LDK・駐車スペース2台可(車種による)!キッチン・洗面・浴室がワンフロアにまとまり、家事がスムーズにこなせる間取りです。

こちらの物件は埼玉相互住宅 蒲生本店が担当します!!

10:00-19:00(火・水定休)

物件詳細情報

最寄駅/交通
東武伊勢崎線「新田」より徒歩21分
東武伊勢崎線「獨協大学前」より徒歩25分
所在地
埼玉県草加市新善町
販売価格
4,090万円
間取り
3LDK
取引態様
仲介
建物構造
木造
土地面積
123.7㎡(37.41坪)
建物面積
108.47㎡(32.81坪)
建ぺい率
60%
容積率
200%
地目
宅地
都市計画
市街化区域
用途地域
第一種中高層住居専用地域
現状
未完成
引渡
相談
接道
北東側6m公道
セットバック
不要
私道
無し
築年月
2026年04月 完成予定
土地権利
所有権
設備
公営水道,本下水,都市ガス
建築確認番号
第25UDI1W建11279号
管理番号
91719
学区
草加市立清門小学校まで1500m/草加市立新栄中学校まで1900m
リフォーム

物件登録日
2026年03月24日
掲載期限
2026-04-06
特記事項
備考
・太陽光発電システムに伴う東京ガスが提供するサービス契約が必須となります。※詳細は営業担当までお問い合わせ下さい。 ・【清掃施設】11.63平米×各1/8 ・本件の周囲は西光院が管理する、霊園及び駐車場となっております。 ・車庫面積:8.69平米
キーワード
開発許可番号

このエリアの近隣物件

資料請求・見学予約フォームContact Form

お問合せ種別必須

お名前必須

メールアドレス必須

電話番号
郵便番号

都道府県

以降の住所

来場希望日時必須

ご希望の時間帯必須

※当日はお電話にてご予約ください。

お問合せ内容
その他ご要望など
近隣の物件情報が必要かどうか

COLUMN お役立ち情報

PageTop